2025最新:郑州「西美招商雲启」售楼处电话丨【郑州西美招商雲启售楼中心】楼盘地址丨项目简介
扫描到手机,新闻随时看
扫一扫,用手机看文章
更加方便分享给朋友
郑州西美招商雲启
郑州西美招商雲启营销中心电话400-681-7288接通后输入1111可转接销售
郑州西美招商雲启售楼处电话400-681-7288接通后输入1111可转接销售
➤➤➤➤欢迎来电咨询,专业销售提供一对一服务,
涵盖房价特价、户型图、项目及房源介绍、周边配套等解答,VIP贵宾置业服务开启。
地块位于高新区主城东北区域,属于高新区关庄葛寨片区合村并城项目配套开发项目,郁香路西、白桦街北,占地87.5亩,2017年4月26日,由郑州玖智房地产开发有限公司通过招拍挂的方式底价获取,成交总价36,926万元,成交楼面价2,109元/平米。
原恒大城五期(恒大城白桦园),目前开发商是高新区平台公司郑州西美置业,招商代建。
第一部分:地块信息
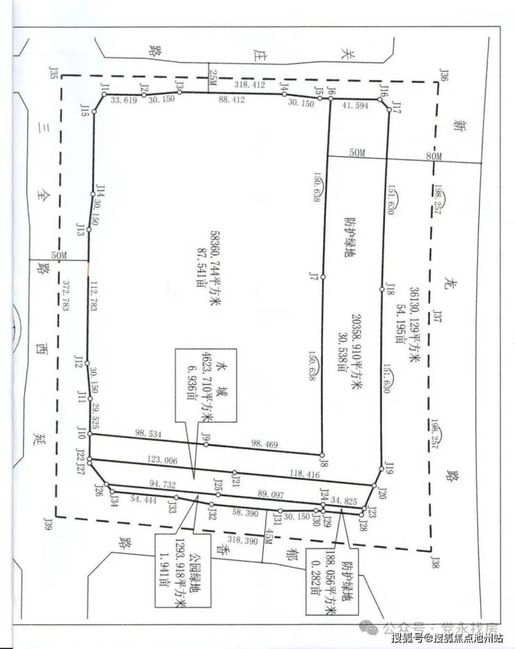
1.示意图
2.定界图
3.前置条件
4.设计条件
第二部分:地块整体规划
第三部分:卫星图
郑州西美招商雲启
郑州西美招商雲启营销中心电话400-681-7288接通后输入1111可转接销售
郑州西美招商雲启售楼处电话400-681-7288接通后输入1111可转接销售
➤➤➤➤欢迎来电咨询,专业销售提供一对一服务,
涵盖房价特价、户型图、项目及房源介绍、周边配套等解答,VIP贵宾置业服务开启。
声明:本文由入驻焦点开放平台的作者撰写,除焦点官方账号外,观点仅代表作者本人,不代表焦点立场。
