绿城招商桂语云峯售楼处电话是多少?24小时电话丨位置及详情?
扫描到手机,新闻随时看
扫一扫,用手机看文章
更加方便分享给朋友
长沙市岳麓区【绿城招商桂语云峯】
√售楼处电话℡:4OO-100-1299 转接 0002【售楼中心】
√网上售楼中心——欢迎来电预约尊享一对一销售专业讲解服务!
Vip开发商售楼处直销_欢迎来电预约尊享内部折扣_匠心钜制恭迎品鉴〢
项目概况
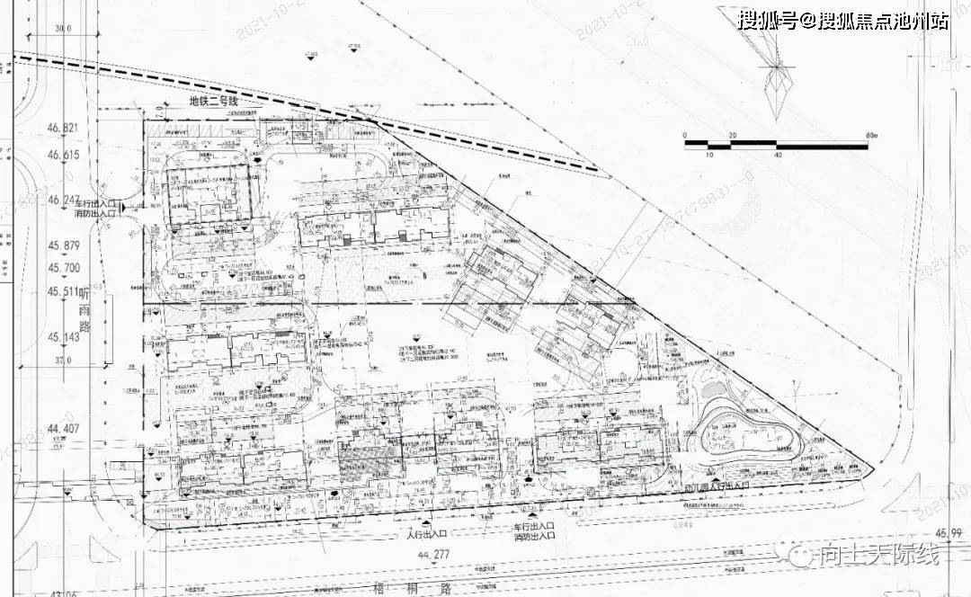
长沙绿城招商桂语雲峯项目位于岳麓区梅溪湖二期的青梅路与梧桐路交会处东北角,总用地面积36884.59㎡,总建筑面积163213.39㎡,容积率3.5,商住比2:8,绿地率25%,建筑密度20.24%。
根据公示规划,整个项目由8栋标准高度住宅、1栋标高公寓式酒店、1所幼儿园组成,建面在90-150平米户型76户,建面大于150平米的共有474户,主要以改善型为主。
项目总平面图
户型和样板间
地段区位
雄踞梅溪正芯,傲立梅溪未来发展头牌,纳藏梅溪十年精髓,预鉴一座城市的未来
周边配套
交通
位于赏月路与梧桐路交汇处,拥揽四横五纵交通路网,紧邻梅溪仅有双地铁站-中塘站(建设中)。地铁2号线(延长线建设中)、地铁6号线(明年初通车)在此交汇
教育
西雅博才小学、西雅中学、长郡梅溪湖中学、岳麓区实验小学等8大名校环伺,紧邻梧桐小学(规划中)
商业
中轴两侧将打造CBD地标级办公楼宇集群,布局国际商务组团、总部服务基地及滨水产业组团等,以总部办公基地、科技金融创新前沿、高端专业服务聚集,打造长沙与世界交流的国际商务中心
声明:本文由入驻焦点开放平台的作者撰写,除焦点官方账号外,观点仅代表作者本人,不代表焦点立场。
